Magazzino in affitto a Modena (MO) zona Cittanova - Marzaglia

Rif: IMMO-119618243
Condividi Linkedin Whatsapp Stampa
€ 1.938
Affitto
Magazzino
375 Mq
Classe energetica Non indicata
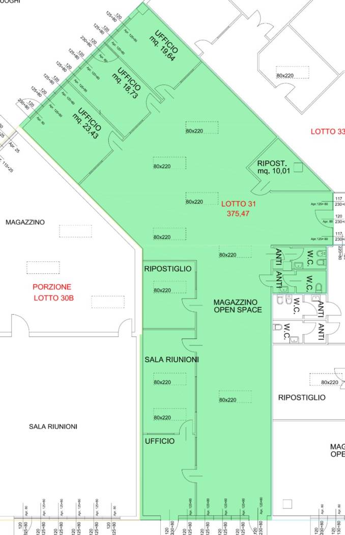
Modena Nord ad. casello autostradale posizione strategica e comoda a tutto con ampia area parcheggio, locazione di magazzino-ufficio di 375 mq. Possibilità di altro ufficio -magazzinoattiguo di 200 mq.

Dettaglio immobile

Contratto Affitto
Rif IMMO-119618243
Prezzo € 1.938
Provincia Modena
Comune Modena
Zona Cittanova - Marzaglia
Superficie 375 mq
Classe energetica Non indicata
Condizioni abitabile
Ascensore no

Consistenze

Descrizione Superficie Sup. comm.
Principali
Magazzino - 1° piano 375 Mq 375 Mqc
Totale 375 Mqc

Richiedi maggiori informazioni

Autorizzazione al trattamento dei dati personali+
Dichiaro di aver letto l'informativa sulla privacy ed accetto le condizioni d'utilizzo del servizio.
Riempi il campo con il codice riportato nell'immagine*
Codice Captcha
Chiamaci Contattaci